Una carta enviada al ministro de Medio Ambiente, Miguel Ceara Hattton, expone una preocupación sobre el futuro de una parte del arrecife de Cabo Rojo, donde se pretende construir un puerto de cruceros por la empresa mexicana ITM Group, com una inversión de 98 millones de dólares para ser entregado a finales del 2023.
La carta firmada el 15 de septiembre pasado por Grupo Jaragua, Reef Check y el fotógrafo submarino y conservacionista José Alejadro Álvarez, alerta al ministro sobre las graves consecuencias ambientales que podría tener el planificado desarrollo del puerto en Cabo Rojo, en la provincia Pedernales.
La carta ha sido ampliamente difundida por las redes sociales, acompañada de un video realizado por Grupo Jaragua. Las reacciones han sido tanto a favor como en contra de la posición de los ambientalistas.
“Nuestro objetivo es comunicar y advertir a las autoridades así como al público en general sobre la presencia ahí de un extenso arrecife de coral, el cual está en buen estado de conservación actualmente y estaría siendo afectado directamente por este anunciado desarrollo. Esto implicaría no sólo consecuencias negativas en términos de servicios ambientales a nivel local, sino también la afectación de uno de los polígonos que conforman el sitio Humedales de Jaragua de la Convención Ramsar sobre Humedales de Importancia Global, de la cual el país es parte”, expresa la carta.
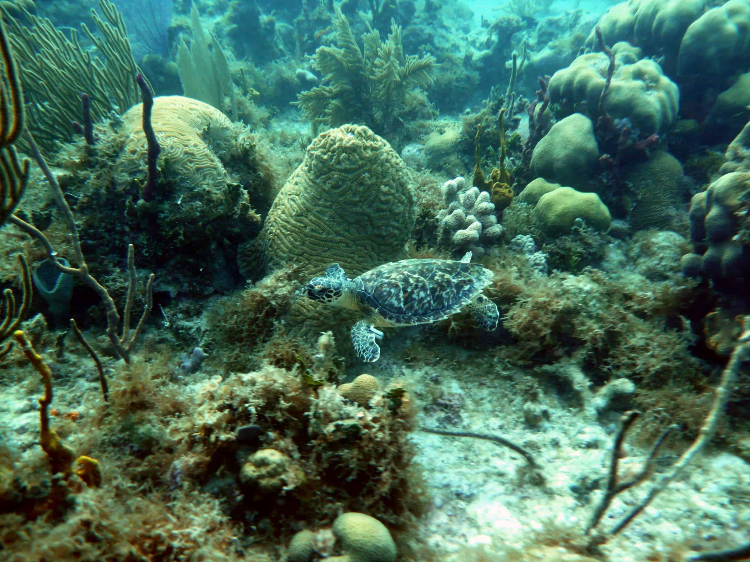
Además, en el documento, los expertos explican que la zona de Cabo Rojo presenta uno de los mayores complejos arrecifales de toda la República Dominicana, además de extensos pastos marinos. En estos hábitats se encuentran numerosas especies en peligro de extinción como el coral cuerno de ciervo (Acropora cervicornis), los corales de cabezote (Orbicella annularis, O. faveolata, O. franksi) y el coral pilar (Dendrogyra cylindrus), entre otros. Estos arrecifes son además un importante refugio para juveniles de la críticamente amenazada tortuga carey (Eretmochelys imbricata), la amenazada tortuga verde (Chelonia mydas) y el manatí antillano (Trichechus manatus). También destacan las altas densidades de carey juvenil que allí se encuentran, las cuales son las más altas del mundo, y estudios genéticos han evidenciado el reclutamiento a la zona de juveniles provenientes de diversas playas de anidamiento de la región, incluyendo Yucatán (México), Cuba, Puerto Rico y otros.
Mapa de distribución de especies y hábitats en Cabo Rojo (Grupo Jaragua).
La carta es acompañada con mapas y evidencia gráfica que sustenta sus argumentos. Basando su preocupación en que el proyecto ha sido anunciado tanto local como internacionalmente sin que se tengan los estudios de impacto ambiental, según los conservacionistas.
Los firmantes resaltan en la carta que ninguno de ellos, u otros expertos, han sido invitados a las vistas públicas que se han realizado.
Al final de la carta los científicos se ponen al servicio del Ministerio de Medio Ambiente y Recursos Naturales para acompañarlos en este proceso de forma voluntaria y neutra, para colaborar desde su posición como expertos de renombre internacional, con una historia de protección y conservación de los recursos marinos del país, siempre apegados a estándares del mayor rigor científico.
No se oponen al proyecto
Rubén Torres, de Reef Check, expresó a Diario Libre que no se oponen al desarrollo del proyecto en Cabo Rojo, pero sí a como se propone actualmente. Considera que se debe hacer un rediseño del muelle para minimizar el impacto que pueda causar en el arrecife.
Al día de hoy el ministro de Medio Ambiente, Miguel Ceara Hatton, no ha respondido a la carta de los ambientalistas. Diario Libre intentó obtener una opinión del ministro sobre el contenido de la misma, pero al momento del cierre de esta nota no fue posible.
Una fuente confirmó a este medio que el proyecto aún no posee los correspondientes estudios de impacto ambiental.
Estudio de 2006 recomienda no construir en la zona
El estudio «Diversidad y abundancia relativa de corales, octocorales y esponjas en el Parque Nacional Jaragua, República Dominicana”, por Ernesto Weil del Departamento de Estudios Marinos de la Universidad de Puerto Rico, advierte sobre la riqueza del arrecife en Bahía Honda, Cabo Rojo. Describe un arrecife de franja profundo muy bien desarrollado con estructuras de alto relieve, valles y cañones o canales de arena y una alta riqueza y cobertura de corales.
«Una recomendación de este estudio es que la zona debe ser protegida contra desarrollos turísticos, minería y otras actividades costeras con potencial para alterar las condiciones ambientales del área. Las actividades pesqueras deben ser reguladas ya que nuestras observaciones indican una abundancia y riqueza de peces muy baja para comunidades arrecifales como las observadas en este estudio”, concluyó Weil.
Comisión de Medio ambiente de la Cámara de Diputados investigará la denuncia
José Horacio Rodríguez, diputado del Distrito Nacional por Opción Democrática, tomó la palabra en la sesión de este martes en la Cámara de Diputados, haciendo lectura de parte de la carta enviada al ministro de Medio Ambiente. Resaltó las graves consecuencias que podría tener este proyecto para el país y su diversidad la construcción del puerto de cruceros en Cabo Rojo.
“Es por estas razones queridos colegas, que estamos solicitando por esta vía, que la Comisión de Medio Ambiente de esta Cámara de Diputados pueda realizar una investigación sobre esta denuncia, porque lo que se ha reportado en la prensa, tanto a nivel nacional como internacional, es que ya se ha iniciado la construcción de esta obra sin contar con los estudios de impacto ambiental y la autorización ambiental que la ley 64-00 exige que deba existir para que se realice esta obra”, expresó en su turno el diputado.
Además, reprochó en su intervención a los demás diputados presentes, por no escuchar su participación. “Esto es una denuncia grave, y por lo tanto queremos solicitar, aunque aquí nadie me esté oyendo, aunque la gente en la televisión y Youtube si esté prestando atención a esta exposición… Queremos solicitar que la Comisión Permanente de Medio Ambiente, en sus atribuciones otorgadas por la Constitución en el artículo 93 numeral 2, en materia de fiscalización y control, literal E, que proceda a investigar esta denuncia para dar un informe al pleno edificando sobre esta situación. Yo lamento muchísimo que los diputados no tienen interés sobre los temas de medio ambiente y biodiversidad. Porque aquí da vergüenza que nadie está oyendo lo que uno está hablando…”, concluyó el diputado airado.
El presidente de la Cámara de Diputados, Alfredo Pacheco, exhortó a la Comisión de Medio Ambiente a tomar cartas en el asunto.
Acción Verde | El Portal Ambiental de la República Dominicana Todo lo relativo al Medio Ambiente y Recursos Naturales con énfasis Cambio Climático y Areas Protegidas




